ค้นหาบ้านมือสองธอส.
ลองเปลี่ยนมาใช้ผ่านแอปดูสิ ใช้ง่าย รวดเร็ว โหลดเลย!
รายการถูกใจล่าสุด
แสดง: 0 รายการ

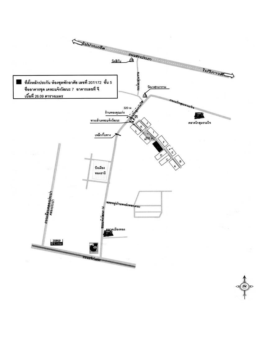
ขายคอนโด (เคหะแจ้งวัฒนะ 7)

แขวงสีกัน เขตดอนเมือง กรุงเทพมหานคร

ราคาติดต่อธนาคาร

รหัสทรัพย์ 1036105021
1036105021
ราคาติดต่อธนาคาร
ประเภททรัพย์
คอนโด
โครงการ
เคหะแจ้งวัฒนะ 7
26.09 ตร.ม.
ชั้นที่ 5 จาก 5 ชั้น

ที่ตั้ง

เลขที่โฉนด/นส 3ก.
133286
เลขที่
207/172
โครงการ
เคหะแจ้งวัฒนะ 7
ซอย
วัดเวฬุวนาราม
ถนน
สรงประภา
แขวง/ตำบล
สีกัน
เขต/อำเภอ
ดอนเมือง
จังหวัด
กรุงเทพมหานคร

รายละเอียดเพิ่มเติม

ซื้อทรัพย์แล้วยื่นกู้ได้เลย โดยใช้สินเชื่อสำหรับซื้อทรัพย์ NPA ของธนาคาร อัตราดอกเบี้ย 0% นาน 24 เดือน *เงื่อนไขเป็นไปตามที่ธนาคารกำหนด

ทำเลที่ตั้ง

คลิ๊กดูรูปภาพแผนที่

ข้อมูลติดต่อ

ธนาคารอาคารสงเคราะห์
เบอร์ติดต่อธนาคาร
  • 0-2202-1141
  • โทร. 0-2202-1141
  • ติดต่อธนาคาร