ค้นหาบ้านมือสองธอส.
ลองเปลี่ยนมาใช้ผ่านแอปดูสิ ใช้ง่าย รวดเร็ว โหลดเลย!
รายการถูกใจล่าสุด
แสดง: 0 รายการ

ขายทาวน์เฮ้าส์ (ม.เหรียญทองคลองนา)

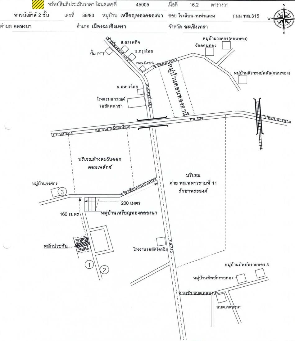
ต.คลองนา อ.เมืองฉะเชิงเทรา จ.ฉะเชิงเทรา

฿ 840,000

รหัสทรัพย์ 2401108411
2401108411
฿ 840,000
ประเภททรัพย์
ทาวน์เฮ้าส์
โครงการ
ม.เหรียญทองคลองนา
16.2 ตร.ว.
2 ชั้น

ที่ตั้ง

เลขที่โฉนด/นส 3ก.
45005
เลขที่
39/83
โครงการ
ม.เหรียญทองคลองนา
ซอย
ม.เหรียญทองคลองนา
ถนน
ฉะเชิงเทรา-พนัสนิคม
แขวง/ตำบล
คลองนา
เขต/อำเภอ
เมืองฉะเชิงเทรา
จังหวัด
ฉะเชิงเทรา

รายละเอียดเพิ่มเติม

ในงาน โครงการทรัพย์ตรงใจ (มาตรการถาวร)

โครงการทรัพย์ตรงใจ ราคาโปรโมชั่นนี้สามารถซื้อและทำสัญญาฯ ได้ถึงวันที่ 23 ก.ค. 69 ซื้อทรัพย์แล้วยื่นกู้ได้เลย โดยใช้สินเชื่อสำหรับซื้อทรัพย์ NPA ของธนาคาร อัตราดอกเบี้ย 0% นาน 12 เดือน * เงื่อนไขเป็นไปตามที่ธนาคารกำหนด

  •   ฝ่ายบริหาร NPA อาคาร 2 ชั้น 2 ธอส.สำนักงานใหญ่ สำหรับทรัพย์ส่วนภูมิภาค ติดต่อได้ ณ สาขาที่ตั้งทรัพย์
  •   วันนี้เป็นต้นไป
  •   08:30-00:00 น.

ทำเลที่ตั้ง

คลิ๊กดูรูปภาพแผนที่

ข้อมูลติดต่อ

ธนาคารอาคารสงเคราะห์
  • ฝ่ายบริหารหนี้ภูมิภาค ติดต่อ 0-2645-9000 กด 5 วันทำการ เวลา 8.30 น. - 16.30 น. (คุณทรงวุฒิ ธรรมจารย์ : คุณรุ่งฤดี วิเศษ โทร 0-2645-9000 : 08-5485-4206 : 08-0057-6609 สาขาฉะเชิงเทรา)
เบอร์ติดต่อธนาคาร
  • 0-2645-9000
  • โทร. 0-2645-9000
  • 08-5485-4178
  • โทร. 08-5485-4178
  • 08-0057-6609
  • โทร. 08-0057-6609
  • ติดต่อธนาคาร